Bán nhà Nguyễn Đình Chiểu - diện tích 53.7m2 4 tầng - 2 mặt thoáng - giá 19,8 tỷ
Mức giá
19,8 tỷ
369 triệu/m²
Diện tích (mặt tiền x sâu)
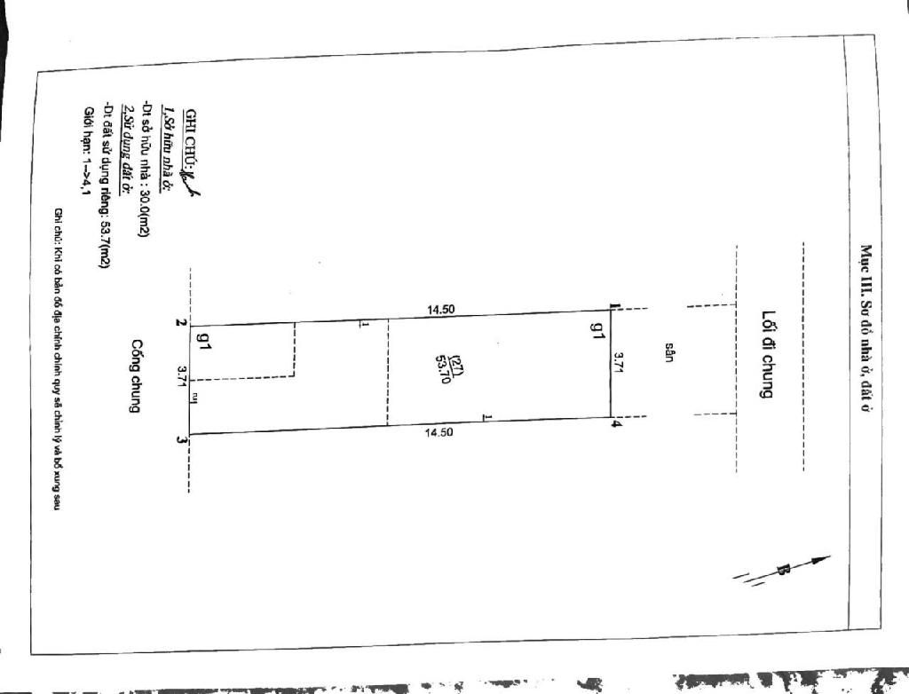
53.7 m² (3.7m x 14.51m)
3.7m x 14.51m
Phòng ngủ
3 PN
Chia sẻ
Chia Sẻ Bài Viết
Đã sao chép liên kết!
Thông tin mô tả
BÁN NHÀ NGUYỄN ĐÌNH CHIỂU - DIỆN TÍCH 53.7M2 - 4 TẦNG - 2 MẶT THOÁNG - NHỈNH 19 TỶ
📍 Ngõ văn minh, yên tĩnh, hàng xóm thân thiện. 30m ra phố lớn Nguyễn Đình Chiểu, gần bệnh viện, trường học, công viên, tiện ích đầy đủ.
🏠 53.7m2 x 4 tầng, mặt tiền 3.7m.
💰 Nhỉnh 19 tỷ.
📜 Sổ đỏ chính chủ, cất két sẵn sàng giao dịch.
📞 Gọi ngay Kiên Nhà Đẹp 039.855.8888.
📍 Ngõ văn minh, yên tĩnh, hàng xóm thân thiện. 30m ra phố lớn Nguyễn Đình Chiểu, gần bệnh viện, trường học, công viên, tiện ích đầy đủ.
🏠 53.7m2 x 4 tầng, mặt tiền 3.7m.
💰 Nhỉnh 19 tỷ.
📜 Sổ đỏ chính chủ, cất két sẵn sàng giao dịch.
📞 Gọi ngay Kiên Nhà Đẹp 039.855.8888.
Zalo/gọi ngay lấy thông tin thêm căn này 0398.55.8888
Đặc điểm bất động sản
Mức giá
19,8 tỷ
Diện tích
53.7 m²
Số PN
3 PN
Số WC
4 WC
Số tầng
4
Pháp lý
Sổ đỏ chính chủ, cất két sẵn sàng giao dịch.
Môi giới chuyên nghiệp
Ngày đăng21/03/2026
Ngày hết hạn21/04/2026
Các BĐS Hot bạn nên xem
Các BĐS quanh Nguyễn Đình Chiểu
/
Tìm kiếm Toàn Hà Nội
Môi giới chuyên nghiệp
