Bán nhà Thanh Lân - diện tích 31.8m2 4 tầng - Ngõ ba gác - giá 5,6 tỷ
Mức giá
5,6 tỷ
176 triệu/m²
Diện tích (mặt tiền x sâu)
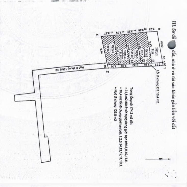
31.8 m² (3.2m x 9.94m)
3.2m x 9.94m
Phòng ngủ
3 PN
Chia sẻ
Chia Sẻ Bài Viết
Đã sao chép liên kết!
Thông tin mô tả
BÙI KHẮC LONG cần bán gấp căn nhà tại Thanh Lân, DT 31.8m2, 4 tầng, ngõ ba gác, giá chốt nhanh Nhỉnh 5 tỷ, thiện chí bán.
📍 Ngõ ba gác Thanh Lân. Nhà đẹp, khách mua về ở luôn, gần chợ, gần trường, tiện ích bạt ngàn.
🏠 31.8m2 x 4 tầng, mặt tiền 3.2m.
💰 Nhỉnh 5 tỷ.
📜 Sổ đỏ chính chủ.
📞 Gọi ngay Kiên Nhà Đẹp 039.855.8888.
📍 Ngõ ba gác Thanh Lân. Nhà đẹp, khách mua về ở luôn, gần chợ, gần trường, tiện ích bạt ngàn.
🏠 31.8m2 x 4 tầng, mặt tiền 3.2m.
💰 Nhỉnh 5 tỷ.
📜 Sổ đỏ chính chủ.
📞 Gọi ngay Kiên Nhà Đẹp 039.855.8888.
Zalo/gọi ngay lấy thông tin thêm căn này 0398.55.8888
Đặc điểm bất động sản
Mức giá
5,6 tỷ
Diện tích
31.8 m²
Số PN
3 PN
Số WC
2 WC
Số tầng
4
Pháp lý
Sổ đỏ chính chủ
Môi giới chuyên nghiệp
Ngày đăng20/03/2026
Ngày hết hạn20/04/2026
Các BĐS Hot bạn nên xem
Các BĐS quanh Thanh Lân
/
Tìm kiếm Toàn Hà Nội
Môi giới chuyên nghiệp
